Consideraciones:
En algunas ocasiones las agencias precisan ajustar saldos de cuentas corrientes de clientes, que han arrastrado montos viejos que nunca se llegaron a corregir. Para poder ajustarlos, una alternativa es generar una nota de crédito o débito interna dependiendo de como sea el saldo del cliente en ese momento.
Para este caso, se deberá realizar una Nota de débito/crédito desde la sección "Facturación manual" con una sucursal de clasificación "interna", de esta manera se podrá desafectar del libro de IVA debido a que es un comprobante interno.
Proceso:
Paso 1 - Dirigirse a la sección "Numeración de Facturas y Nota de Crédito por Sucursal". Crear un nuevo punto de venta/sucursal con tipo de sucursal "interna" esto para que no afecte luego el libro de IVA, ya que se trataría de una nota de debito interna.


Paso 2 - Una vez creada la sucursal interna dirigirse a la sección "Facturación Manual".

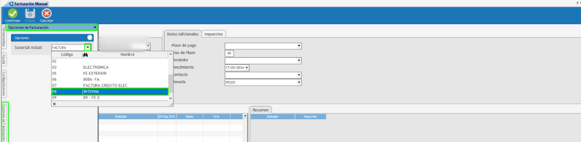
Paso 3- Previo a seleccionar el cliente y tipo de comprobante, hacer clic en la pestaña posicionada a la izquierda de la pantalla llamada "Opciones de facturación" y seleccionar la sucursal creada con descripción "INTERNA".

Paso 4 - Completar los datos principales, indicando el cliente, tipo de operación, origen de facturación y tipo de comprobante como se indica en la imagen a continuación. Luego, para completar el detalle del comprobante presionar el botón F3 del teclado para cargar un JobNumber y OT genérico de agencia, e indicar la cuenta contable correspondiente al movimiento junto con el monto que corresponderá a la nota de débito y grabar el comprobante.

Paso 5 - Se puede verificar la Cta. cte. del cliente corroborando que la Nota de debito ha impactado en esta.

Opciones que pueden ser de interés:
¿Cómo se realiza la Facturación Manual?
